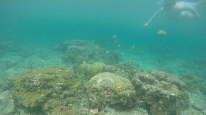
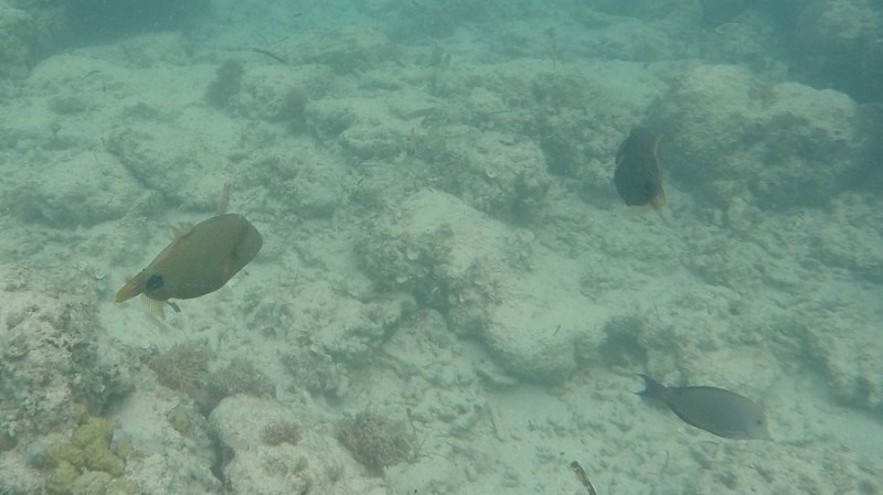
SINGAPUR IN INDONEZIJA: Podvodni svet ob otoku Gili Air (7. dan)
Da ne boste mislili, da sva pod vodo preživela le sedmi dan potovanja. Ne, ne. Pod vodo sva preživela večino časa bivanja na sanjskem Gili Airu. Najboljše mesto za snorklanje ob plaži je ob celi vzhodni obali. Vzhodna obala nima skoraj nič plimovanja, tako da je morje ves čas “prisotno” ter zelo primerno za kopanje in snorklanje. Ob celi obali se tudi vije koralni greben, ki je povsem ob plaži. Tudi izletniki iz vseh treh otokov se ustavijo točno na tem mestu za snorklanje. Dva koraka naredite v morje in že je polno pisanih ribic. Precej močan tok vam tudi olajša snorklanje, saj vas enkrat nese proti severu, drugič proti jugu obale. Samo sprostite se in uživate v živahnem akvariju, polnem pisanih živobarvnih ribic.















KOSILO NA PLAŽI
Ob vodnih aktivnostih se tudi lakota poveča, zato se je potrebno okrepčati. Tokrat kar na plaži v enem izmed lokalov, ki jih je na pretek. Odlično kosilo!




Celotni stroški dneva = 148 EUR ali 74 EUR/osebo
- izposoja dveh snorklov = 100.000 IDR (7,2 EUR)
- izposoja ležalnikov = 100.000 IDR (7,2 EUR)
- kava, čaj, kosilo = 175.000 IDR (12,6 EUR)
- mango juice, kava, voda = 70.000 IDR (5 EUR)
- coca cola 2x, 2x palačinke, sendvič, jaffle topli sendvič = 200.000 IDR (14,4 EUR)
- spanje v Dolcemare Resort (NZ) = 1.450.000 IDR (104,3 EUR)
Devizni tečaji: 1 EUR = 1,1 USD; 1 USD = 12.600 IDR

