MEHIKA IN BELIZE: Snorklanje v morskem rezervatu Hol Chan (21. dan)
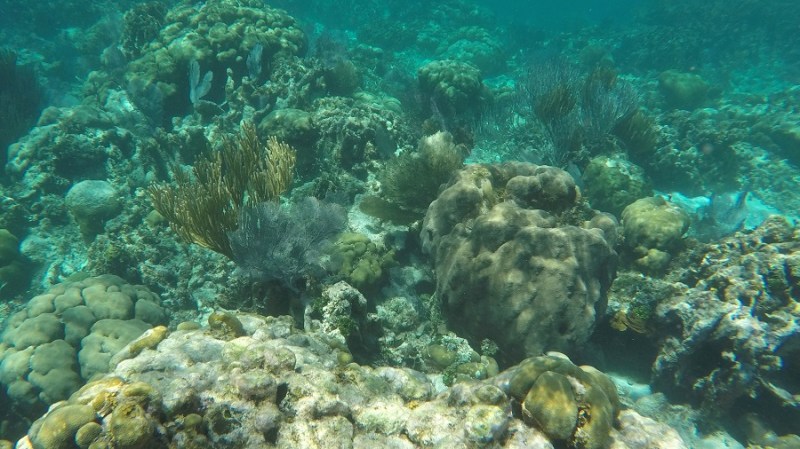
Na otoku Caye Caulker sva si predstavljala ogromno ponudbe za okoliške izlete in snorklanje. Doživela sva hladen tuš. Ponudnikov veliko, a vsi samo eno vrsto izleta – poldnevno ali celodnevno snorklanje s popolnoma enakim programom. Vse ostalo pa čista eksotika in nenormalne cene. Torej sva se odločila za celodnevno snorklanje z eno najboljših agencij Caveman Snorkeling. Cena še vedno visoka, zato tudi pričakovanja. Na ladji z nekaj malega sence nas je bilo 13 in 2 vodiča. Odpeljali smo se na sever do Hol Chan Marine rezervata, ki je del 900 km dolgega koralnega grebena. Drugi največji koralni greben sega vse od severa Jukatana do juga Belizeja in je seveda pod Unescovo zaščito. Na moje veliko razočaranje, razen ene posebne točke, kjer smo res videli nekaj živega podvodnega sveta, je bilo snorklanje precej povprečno.

CELODNEVNO SNORKLANJE
Pri celodnevnem snorklanju smo obiskali več mest. Najprej so nas peljali do grebena in smo videli eno veliko zeleno morsko želvo. 200 snorklarjev in ena želva. Si predstavljate? Raje ne. Potem smo videli še enega skata. Druga točka je bil Hol Chan Marine Reserve, ki je bil tudi najlepši. Veliko rib, zdrave in pisane korale, močan tok, ogromno morske trave na površju in omejen čas. V vodi smo lahko bili le 40 minut, saj so okoljevarstveniki zelo strogi. Bilo je res lepo. Nato smo si ogledali še korale na potopljeni ladji, ki žal niso bile nič posebnega. Vmes pa smo se ustvili še sredi morja na Shark Ray Alley. Morski psi (nurse sharks) so od nekdaj navajeni ostanokov hrane z ribiških čolnov, zato se že ob zvoku motorja čolna vsi približajo čolnu in čakajo na hrano. Ribiči so tukaj čistili ribe in tako so jih navadili na hranjenje. Jaz sem ostala na čolnu, mnogi pa so se podali v vodo. Meni se je to zdelo kar malce sporno z vidika ohranjanja morja in življenj v njemu. Ko ni bilo več hrane, so takoj odplavali stran. Sicer je bilo snorklanje kar precejšnje razočaranje z mojega vidika. Možno je tudi, da sem precej razvajena že glede podvodnega sveta, zato oceno prepustim vam. Sva pa bila s turistično agencijo zelo zadovoljna in jo priporočava.











































Celotni stroški dneva za 2 osebi = 267 EUR
- celodnevno snorklanje Hol Chan Marine Reserve = 130 USD (115 EUR)
- trgovina = 13 BZ$ (6,1 EUR)
- pica in Coca Cola = 25 BZ$ (11,9 EUR)
- spanje Yocamatsu (NZ) = 281 BZ$ (134 EUR)
Devizni tečaji: 1 EUR = 1,13 USD; 1 EUR = 20,5 MXP; 1 EUR = 2,10 BZ$;
Prevoženi km = 0 km

