EGIPT 2021: Snorklanje v zalivu Makadi (2. dan)
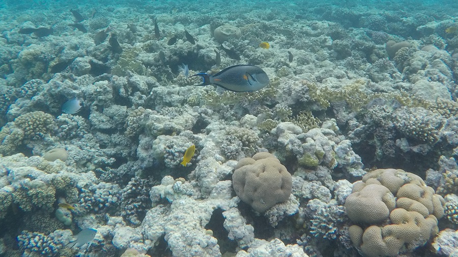
Novembra v Hurgadi velja pravilo rana ura, zlata ura. Dan je kratek, zato ga je treba izkoristiti. Odličen zajtrk, nato pa na ležalnik na plaži. Izjemno nama je ustrezalo samo martinčkanje na soncu, ki naju je le nežno božal. In čudovito snorklanje pred in po kosilu s hotelskega pomola. Sicer pa brezdelje in strmenje v lepo modro morje. V resortu je sicer kup aktivnosti in različnih možnosti, a nama je najbolj ustrezalo početi “nič”. Po napornih tednih in mesecih se res prileže tudi takšen dan.















































POSEBNA VEČERJA – NOČ ČAROVNIC
V hotelu sva bila nastanjena ravno za noč čarovnic, zato so pripravili res zanimivo večerjo. Sicer so bili vsak večer v resortu tematske večerje, a ta je bila res nekaj posebnega.








Celotni stroški dneva za 2 osebi = 119 EUR
- All Inclusive v Cleopatra Luxury resort Makadi Bay (All) = 119 EUR

