FRANCOSKA POLINEZIJA 2025: Potapljanje in plaža Matira na Bora Bori (12. dan)
Potapljaški center na Bora Bori je na koncu plaže Matira in je res eden od najboljših potapljaških centrov v Francoski Polineziji. Takoj se je videlo, da imajo opravka z res bogatimi strankami. Jaz sem imela rezervirana dva dopoldanska potopa že vnaprej, tako da smo ob 7h že šli iz potapljaškega centra. Naredili smo dva potopa znotraj lagune, ki sta bila WOOOW. Prvi še zelo povprečen, ampak drugi pa edinstven. Verjetno nikoli več tega ne bom doživela – eno uro s številnimi eagle rayi. Našteli smo jih kar 48 naenkrat. Matjaž je v tem dopoldanskem času naredil tako nore posnetke plaže Matira iz zraka, da sem še sama izbuljila oči. Oh, kako ptiči uživajo, ko imajo ves čas tako lep pogled. Opoldne sva šla na izjemno kosilo, nato pa uživala na plaži celo popoldne.

NEPREKOSLJIVA POTOPA
Bora Bora je seveda tudi zbirališče najbolj petičnih gostov s celega sveta. Teh navadni smrtniki niti ne opazimo, ker se nastanijo v treh različnih resortih na motuju in ne gredo nikamor drugam. Jaz pa sem se žal morala z njimi potapljati. Ampak imela sem super mladi par iz Amerike, tako da je bilo vse v redu. Pa vendar je bila storitev na hudo visokem nivoju – odlični veliki hitri čolni, nova oprema in na čolnu samo naša skupina – trije potapljači in inštruktor. Ulala. Zjutraj smo jih pobrali v fensi resortu, kjer je noč minimalno 2.500 EUR. Cene pa gredo seveda tudi do 15.000 EUR na noč. Ja, prav ste prebrali in resort je precej poln.




Bora Bora ima dve zelo znani potapljaški mesti – ena je z mantami in druga je z eagle rayi. Seveda so si potapljaška mesta izbirali ta bogati gostje, ker so se z njimi potapljali tudi več dni zapored. Tako smo šli najprej na eno čisto drugo potapljaško mesto, kjer še oni niso bili v prejšnjih dneh. Bilo je lepo, ampak vseeno tako zelo posebnega.




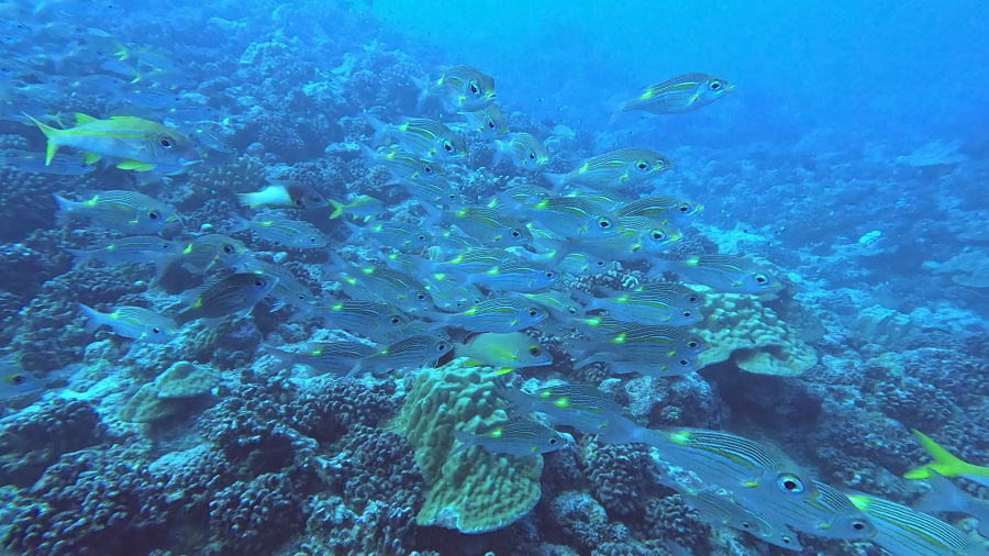
Potem pa smo izbirali še drugo potapljaško mesto – ali mante ali eagle rayi. Jaz sem seveda močno navijala za eagle raye, ker sem ji do zdaj videla manjkrat kot mante, pa še to samo v paru, ko so se zelo hitro premikali naprej. Tukaj pa naj bi bila cela jata na peščenem dnu vsako dopoldne, ko so pravi tokovi. Nisem verjela niti malo. Kasneje sem začela malo verjeti, ko so mi rekli, da so jih včeraj res videli. Ok. Ekipa me je celo uslišala in šli smo na eagle raye. Menda tudi zato, ker je bila na mantah slabša vidljivost. Srečna do neba. In res! Spustimo se takoj na peščeno dno na 20 metrov in počakamo eno minuto. Ulalala. Zagledamo celo skupino eagle rayev, ki so kakšnih 20 metrov pred nami. Vidljivost je dobra. Našteli smo jih 48. Samo ležimo na morskem dnu in opazujemo neverjetne živali, ki so povsem pri miru. Jajmene, kako zelo sem srečna. To se mi zagotovo ne bo nikjer več ponovilo. Gledali smo jih 40 minut, opazovali pri parjenju, gibanju, vrtenju. Res neverjetno, kaj živi v tej majhni lepi laguni Bora Bore. Po potopu sem kar kričala od sreče in veselja.


PLAŽA MATIRA
Matjaž se je v tem času sprehodil po plaži Matira in naredil res neverjetne posnetke z dronom. Po tleh je izjemno lepo, a ko se pogled malce dvigne s tal, je noro lepo. 100 odtenkov modre in zelene. Ko mi je pokazal posnetke, sem kar padla po tleh. Prečudovito.








KOSILO IN POPOLDANSKO UŽIVANJE NA PLAŽI
Čas je bil za kosilo in sva šla v bližnjo restavracijo. Po mnogih letih iskanja sem na jedilniku končno zagledala “raw tuno”, ki jo enostavno obožujem. Prvič in zadnjič sem jo jedla v Kostariki, potem pa je nikjer več nisem zasledila. No, povem vam, da to je pa vrhunec kulinarike. Kos najlepše tune samo mintko popečejo po vseh straneh in potem narežejo na rezine. No, več pa ni. Tuna se topi v ustih in okusi so res nepozabni. Popoldne sva naredila še posnetke z zraka druge strani plaže Matira, kjer je resort precej zasoljenih cen. Plaža je tam nedostopna za zunanje obiskovalce. Midva pa sva uživala na plaži Matira do sončnega zahoda.









Celotni stroški dneva za 2 osebi = 365 EUR
- trgovina = 460 XPF (3,9 EUR)
- 2 potopa z Bora Diving Center (Eleuthera) (Te Moana Diving Pass) = 137,4 EUR
- kosilo (raw tuna in govedina v omaki) = 6.200 XPF (52 EUR)
- pranje oblačil 1 kg = 1.500 XPF (12,6 EUR)
- trgovina = 1.041 XPF (8,7 EUR)
- Nočitev Chez Nono Bora Bora Lodge (N) = 18.000 XPF (150,8 EUR)
Devizni tečaji: 1 EUR = 1,03 USD in 1 EUR = 119,33 XPF

