MALDIVI 2021: Čudoviti podvodni svet otoka Nika (8. dan)
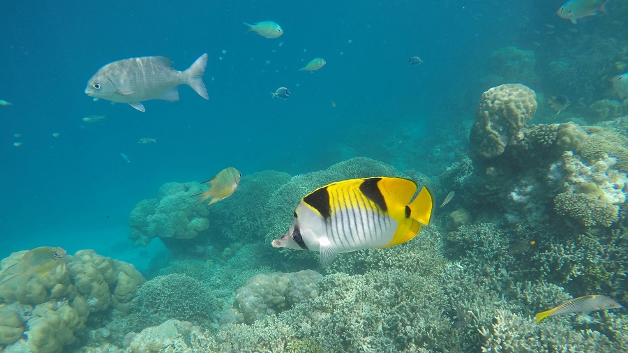
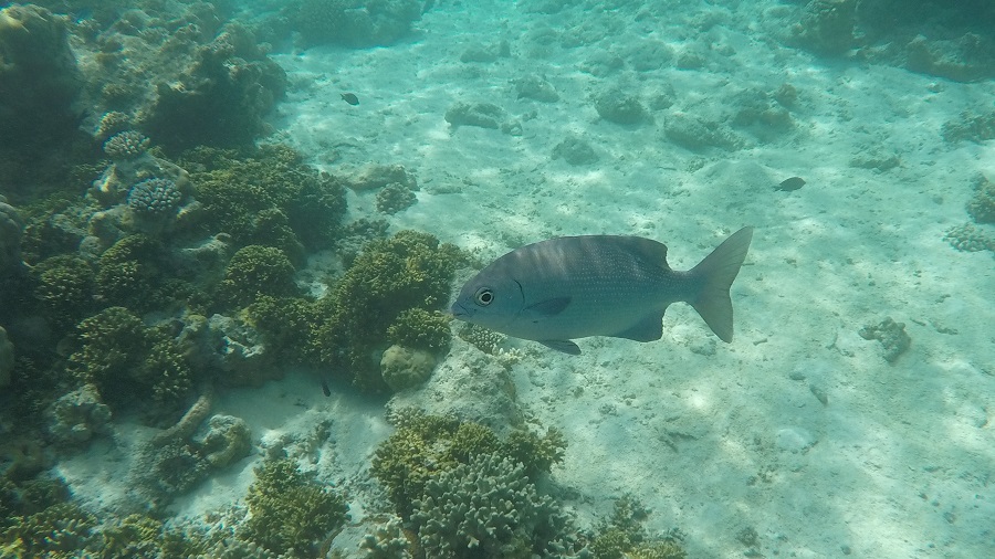
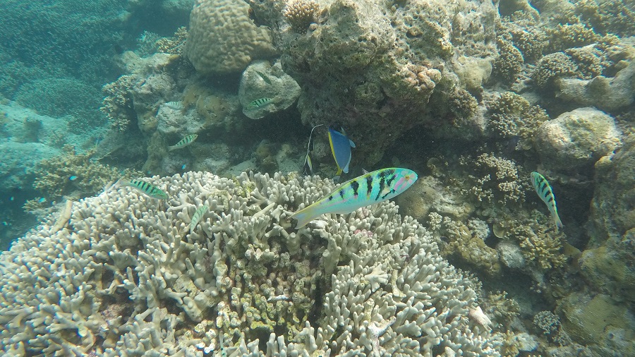
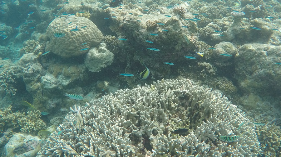
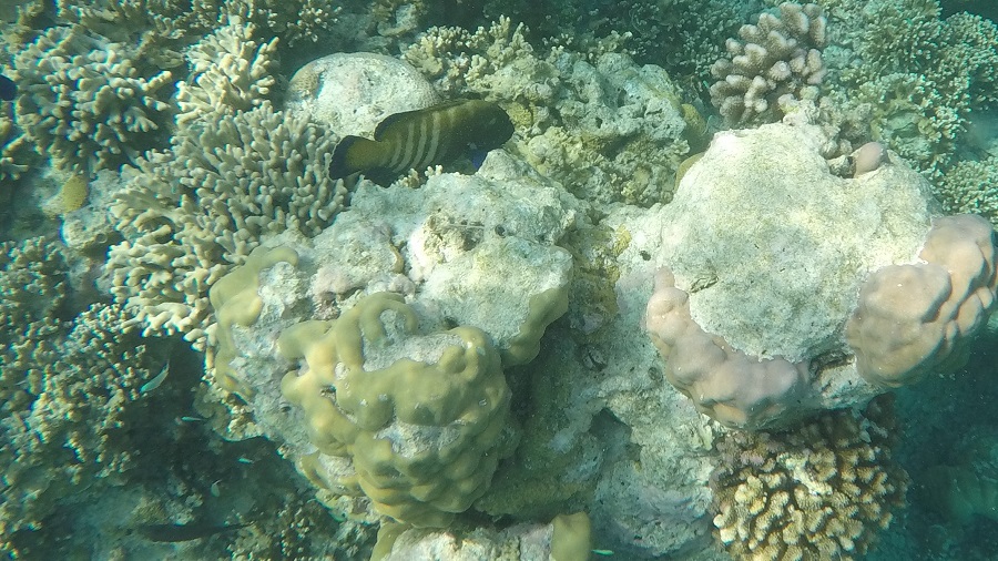
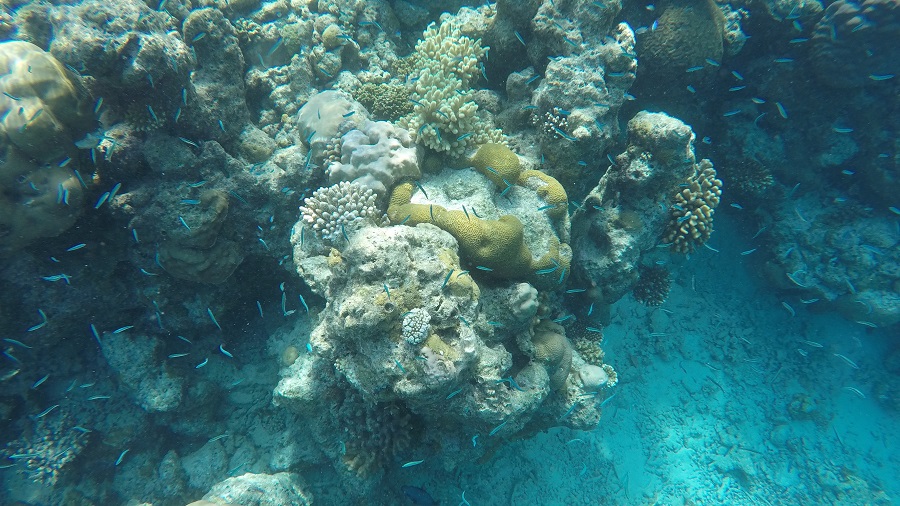
Na resortskem otoku Nika sva res uživala tudi v podvodnem svetu. Le nekaj zamahov z obale se je že bohotil čudoviti podvodni svet živih koral in pisanih tropskih ribic. Sama ali z vodičem bi celo lahko šla na snorklanje okoli celega otoka, a meni je bilo dovolj opazovati podvodni svet le na najinem delu otoka, saj so bile korale res prečudovite. Zelo lepo!

Celotni stroški dneva za 2 osebi = 321 EUR
- kosilo riž s tuno, club sendvič, voda = 64 USD (54,2 EUR)
- mango juice in kapučino = 15 USD (12,7 EUR)
- kava in čaj = 7 USD (6,3 EUR)
- spanje Nika Island Resort & Spa (NZ) = 248 EUR
Devizni tečaj: 1 EUR = 1,18 USD in 1 EUR = 17,40 MVR


































































